売地
| 価格 |
980万円 | 交通 |
いわて銀河鉄道 「厨川」駅
徒歩67分 みはらし公園下バス停下車 徒歩1分 |
|---|---|---|---|
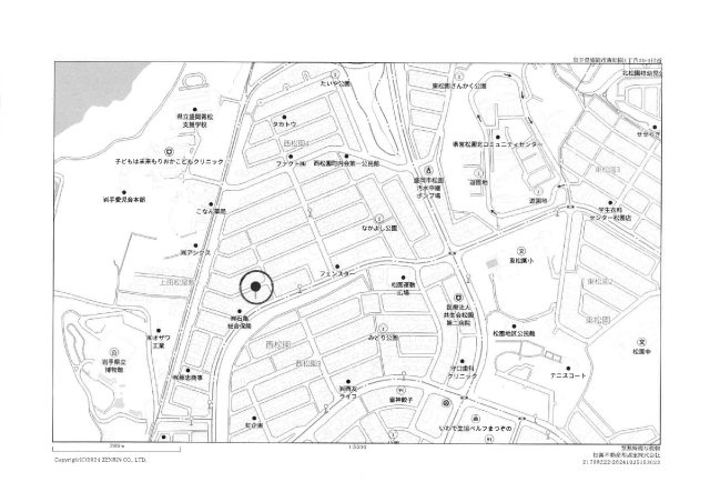
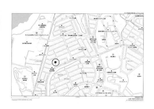
| 土地面積/坪数 | 306.03㎡ / 92.57坪 | 所在地 | 岩手県盛岡市西松園4丁目 |
| 建ぺい率 | 40% | 容積率 | 80% |
「利回り」は、当該不動産の1年間の予定賃料収入の不動産取得対価に対する割合であり、公租公課その他当該物件を維持するために必要な費用の控除前のものです。
また、予定賃料収入が確実に得られる事を保証するものではありません。

解体相談可。趣のある平屋の古民家付き。
ウエルシア西松園店が徒歩圏内です。ゆとりのある敷地92坪。

※地図上の物件位置は近隣に物件が所在することを表すものであり、実際の物件所在地とは異なる場合がございます。
019-662-1572
営業時間:平日9:00~17:00 土日祝9:00~16:00 / 定休日:第3日曜日、GW、冬期休業、夏期休業
| 所在地 | 岩手県盛岡市西松園4丁目 | ||
|---|---|---|---|
| 交通 |
いわて銀河鉄道 「厨川」駅
徒歩67分 みはらし公園下バス停下車 徒歩1分 |
||
| 価格 | 980万円 | 坪単価 | 10.59万円 |
| 土地面積 | 306.03㎡ | 建築条件 | 無 |
| 土地権利 | 所有権 | 建ぺい率/容積率 | 40%/ 80% |
| 私道負担面積 | セットバック | ||
| 接道状況 | 一方 (北西側 公道5.8m) | ||
| 地目 | 宅地 | 地勢 | 平坦 |
| 土地の権利形態 | 開発面積 | ||
| 都市計画 | 市街化区域 | 用途地域 | 第一種低層住居専用地域 |
| その他法令上の制限 | 景観法/法22条区域 | ||
| 国土法届出 | 不要 | 取引態様 | 一般媒介 |
| 現況 | 古家あり | 引渡し | 相談 |
| 設備条件 | 公共下水 / 公営水道 / 都市ガス | ||
| その他条件 | |||
| 備考 |
<古家情報> ※内見可能です ・昭和52年築・144.6㎡(43坪)・木造2階建 |
||
| 周辺の学校 | 盛岡市立東松園小学校(約620m / 徒歩8分)、盛岡市立松園小学校(約1,329m / 徒歩17分)、盛岡市立松園中学校(約1,252m / 徒歩16分) | ||
| 物件番号 | 89738419 | ||
| 情報公開日 | 2025年11月10日 | 次回更新予定日 | 2025年11月24日 |
| 取引条件の有効期限 | 2025年11月24日 | ||
| 取扱い会社 |
松園不動産相談室 株式会社 〒020-0105 岩手県盛岡市北松園4丁目4-3サン・エステート 1F 岩手県知事(3)第2476号 ・(社)岩手県宅地建物取引業協会会員 ・(社)東北地区不動産公正取引協議会会員 ・東北地区不動産公正取引協議会 ・(財)東日本不動産流通機構 ・(社)全国賃貸不動産管理業協会 ・LIXIL(リクシル)ERA・Japan(イーアールエー・ジャパン)ネットワーク |
||
019-662-1572
営業時間:平日9:00~17:00 土日祝9:00~16:00 / 定休日:第3日曜日、GW、冬期休業、夏期休業
| 所在地 | 物件の住所を表示。(詳細住所は表示していない場合もある) | ||
|---|---|---|---|
| 交通 | 物件(部屋)の沿線駅・バス停を表示。(複数駅・バス停の利用が可能な場合は最大3件まで) | ||
| 間取り/詳細 | 数字は居室数を表示。LDKはそれぞれ「リビング」「ダイニング」「キッチン」、S(納戸)とは「納戸」「サービスルーム」「マルチルーム」「フリールーム」など建築基準法第28条に適合していないため、居室と認められない納戸その他の部分を表す。 | ||
| 価格 | 販売されている住戸の価格を表示。仲介手数料は含まない。 | ||
| 管理費 | 共同住宅の設備その他共用部分の維持および管理をするために必要な費用を表示。 | ||
| 修繕積立金 | 共用部分の修繕のために積立てる金額を表示。 | ||

売地
| 価格 | 480 万円 | ||
|---|---|---|---|
| 土地面積 | 561.35㎡ | 建築条件 | 無 |
| 土地坪数 | 169.8坪 | 坪単価 | 2.83万円 |
| 建ぺい率 | 60% | 容積率 | 200% |
| 住所 | 岩手県盛岡市厨川2丁目21-8 | ||
| 交通 |
いわて銀河鉄道「厨川」駅 徒歩10分
|
||
売地
| 価格 | 500 万円 | ||
|---|---|---|---|
| 土地面積 | 240.00㎡ | 建築条件 | 無 |
| 土地坪数 | 72.59坪 | 坪単価 | 6.89万円 |
| 建ぺい率 | 40% | 容積率 | 80% |
| 住所 | 岩手県盛岡市松園1丁目 | ||
| 交通 |
いわて銀河鉄道「厨川」駅 徒歩67分
|
||
売地
| 価格 |
値下げ:2025/04/06 714 万円 | ||
|---|---|---|---|
| 土地面積 | 303.81㎡ | 建築条件 | 無 |
| 土地坪数 | 91.9坪 | 坪単価 | 7.77万円 |
| 建ぺい率 | 40% | 容積率 | 80% |
| 住所 | 岩手県盛岡市西松園1丁目 | ||
| 交通 |
いわて銀河鉄道「厨川」駅 徒歩58分
|
||
【外観】