売地

盛岡市松園2丁目の売地

1 / 4

周辺

【周辺】

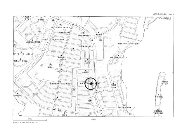
地図

【地図】

区画図

【区画図】

外観

【外観】

周辺 地図 区画図 外観

価格

980万円

交通 いわて銀河鉄道 「厨川」駅 徒歩69分
松園一丁目バス停下車 徒歩1分
土地面積/坪数 259.32㎡ / 78.44坪 所在地 岩手県盛岡市松園2丁目
建ぺい率 60% 容積率 200%

利回りとは

「利回り」は、当該不動産の1年間の予定賃料収入の不動産取得対価に対する割合であり、公租公課その他当該物件を維持するために必要な費用の控除前のものです。
また、予定賃料収入が確実に得られる事を保証するものではありません。

×

セールスポイント

第二種中高層住居専用地域では個人宅の他にも「床面積1500㎡以下の店舗や飲食店、事務所」も建築可能です。

全面道路は24メートル。

地図

※地図上の物件位置は近隣に物件が所在することを表すものであり、実際の物件所在地とは異なる場合がございます。

周辺施設(14件)

  • 盛岡市立松園小学校
    約592m / 徒歩8分
    盛岡市立松園小学校
  • 盛岡市立松園中学校
    約811m / 徒歩11分
    盛岡市立松園中学校
  • ベルフまつぞの
    約702m / 徒歩9分
    ベルフまつぞの
  • ファミリーマート 盛岡松園南口店
    約552m / 徒歩7分
    ファミリーマート 盛岡松園南口店
  • ファッションセンターしまむら松園店
    約1,334m / 徒歩17分
    ファッションセンターしまむら松園店
  • 臼井循環器呼吸器内科
    約332m / 徒歩5分
    臼井循環器呼吸器内科
  • 松園 第二病院
    約1,002m / 徒歩13分
    松園 第二病院
  • 盛岡信用金庫松園支店
    約385m / 徒歩5分
    盛岡信用金庫松園支店
  • 東北銀行松園支店
    約522m / 徒歩7分
    東北銀行松園支店
  • 北日本銀行松園支店
    約628m / 徒歩8分
    北日本銀行松園支店
  • 盛岡松園局
    約514m / 徒歩7分
    盛岡松園局
  • 盛岡中央消防署松園出張所
    約793m / 徒歩10分
    盛岡中央消防署松園出張所
  • 盛岡市役所 コミュニティ施設 松園地区活動センター
    約874m / 徒歩11分
    盛岡市役所 コミュニティ施設 松園地区活動センター
  • 岩手銀行松園支店
    約812m / 徒歩11分
    岩手銀行松園支店

営業時間:平日9:00~17:00 土日祝9:00~16:00 / 定休日:第3日曜日、GW、冬期休業、夏期休業

盛岡市松園2丁目の売地の物件詳細

所在地 岩手県盛岡市松園2丁目
交通 いわて銀河鉄道 「厨川」駅 徒歩69分
松園一丁目バス停下車 徒歩1分
価格 980万円 坪単価 12.49万円
土地面積 259.32㎡ 建築条件
土地権利 所有権 建ぺい率/容積率 60%/ 200%
私道負担面積 セットバック
接道状況 一方 (東側 公道 間口24.0m)
地目 宅地 地勢 平坦
土地の権利形態 開発面積
都市計画 市街化区域 用途地域 第二種中高層住居専用地域
その他法令上の制限 景観法/法22条区域
国土法届出 不要 取引態様 一般媒介
現況 古家あり 引渡し 相談
設備条件 公共下水 / 公営水道 / 都市ガス
その他条件
備考 <古家情報>
・昭和51年築・118.82㎡・6DK

周辺の学校 盛岡市立松園小学校(約592m / 徒歩8分)、盛岡市立松園中学校(約811m / 徒歩11分)
物件番号 94895569
情報公開日 2025年12月2日 次回更新予定日 2025年12月16日
取引条件の有効期限 2025年12月16日
取扱い会社 松園不動産相談室 株式会社
〒020-0105
岩手県盛岡市北松園4丁目4-3サン・エステート 1F
岩手県知事(3)第2476号
・(社)岩手県宅地建物取引業協会会員 ・(社)東北地区不動産公正取引協議会会員 ・東北地区不動産公正取引協議会 ・(財)東日本不動産流通機構 ・(社)全国賃貸不動産管理業協会 ・LIXIL(リクシル)ERA・Japan(イーアールエー・ジャパン)ネットワーク

情報の見方

営業時間:平日9:00~17:00 土日祝9:00~16:00 / 定休日:第3日曜日、GW、冬期休業、夏期休業

情報の見方

所在地 物件の住所を表示。(詳細住所は表示していない場合もある)
交通 物件(部屋)の沿線駅・バス停を表示。(複数駅・バス停の利用が可能な場合は最大3件まで)
間取り/詳細 数字は居室数を表示。LDKはそれぞれ「リビング」「ダイニング」「キッチン」、S(納戸)とは「納戸」「サービスルーム」「マルチルーム」「フリールーム」など建築基準法第28条に適合していないため、居室と認められない納戸その他の部分を表す。
価格 販売されている住戸の価格を表示。仲介手数料は含まない。
管理費 共同住宅の設備その他共用部分の維持および管理をするために必要な費用を表示。
修繕積立金 共用部分の修繕のために積立てる金額を表示。
×

類似物件

売地

盛岡市厨川2丁目の売地

価格 480 万円
土地面積 561.35㎡ 建築条件
土地坪数 169.8坪 坪単価 2.83万円
建ぺい率 60% 容積率 200%
住所 岩手県盛岡市厨川2丁目21-8
交通

いわて銀河鉄道厨川」駅 徒歩10分

売地

盛岡市松園1丁目の売地

価格 500 万円
土地面積 240.00㎡ 建築条件
土地坪数 72.59坪 坪単価 6.89万円
建ぺい率 40% 容積率 80%
住所 岩手県盛岡市松園1丁目
交通

いわて銀河鉄道厨川」駅 徒歩67分

売地

盛岡市西松園1丁目の売地

価格

値下げ:2025/04/06

714 万円
土地面積 303.81㎡ 建築条件
土地坪数 91.9坪 坪単価 7.77万円
建ぺい率 40% 容積率 80%
住所 岩手県盛岡市西松園1丁目
交通

いわて銀河鉄道厨川」駅 徒歩58分